
Huragan Melissa, który przetacza się u wybrzeży Jamajki, jest najsilniejszym i już 13-tym huraganem w aktualnym sezonie na Atlantyku. Taka liczba świadczy o dość aktywnym sezonie na Atlantyku. WMO poinformowało, że huragan Melissa będzie najgorszą burzą, jaka nawiedziła karaibską wyspę w tym stuleciu.
 Huragan wyłonił się z tropikalnej fali znad Atlantyku monitorowanej od 16 października. System przesuwał się przez Morze Karaibskie i 21 października został zaklasyfikowany, jako tropikalny sztorm. Niska prędkość przemieszczania się burzy, słaby uskok wiatru oraz bardzo ciepłe wody Morza Karaibskiego sprzyjały gwałtownemu rozwojowi i rozwinięciu systemu prądów wstępujących i zstępujących. Dzięki takim warunkom, w dniach 25-27 października huragan przeszedł gwałtowną fazę rozwoju, w wyniku której osiągał kategorię 5. Warto dodać, że prognozy wskazujące na pozycję i siłę układu, od samego początku były dość trafne. Zakładały one, kilka dni wstecz, że Jamajkę nawiedzi silny huragan o co najmniej 4 kategorii wg skali Saffira-Simpsona.
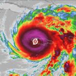
 Huragan wyłonił się z tropikalnej fali znad Atlantyku monitorowanej od 16 października. System przesuwał się przez Morze Karaibskie i 21 października został zaklasyfikowany, jako tropikalny sztorm. Niska prędkość przemieszczania się burzy, słaby uskok wiatru oraz bardzo ciepłe wody Morza Karaibskiego sprzyjały gwałtownemu rozwojowi i rozwinięciu systemu prądów wstępujących i zstępujących. Dzięki takim warunkom, w dniach 25-27 października huragan przeszedł gwałtowną fazę rozwoju, w wyniku której osiągał kategorię 5. Warto dodać, że prognozy wskazujące na pozycję i siłę układu, od samego początku były dość trafne. Zakładały one, kilka dni wstecz, że Jamajkę nawiedzi silny huragan o co najmniej 4 kategorii wg skali Saffira-Simpsona. Kategoria 5 jest najwyższą z możliwych wg skali Saffira-Simpsona. Huragan generuje wiatr ciągły o prędkości 290 km/h, w porywach do 350 km/h i porusza się wolno, około 4 km/h w kierunku północno wschodnim. Ciśnienie atmosferyczne w oku cyklonu aktualnie spadło do wartości około 896 hPa, co sprawia, że Huragan Melissa (zgodnie z aktualnym stanem wiedzy) jest 6 układem pod względem minimalnego ciśnienia w historii pomiarów na Atlantyku.
 Kategoria 5 jest najwyższą z możliwych wg skali Saffira-Simpsona. Huragan generuje wiatr ciągły o prędkości 290 km/h, w porywach do 350 km/h i porusza się wolno, około 4 km/h w kierunku północno wschodnim. Ciśnienie atmosferyczne w oku cyklonu aktualnie spadło do wartości około 896 hPa, co sprawia, że Huragan Melissa (zgodnie z aktualnym stanem wiedzy) jest 6 układem pod względem minimalnego ciśnienia w historii pomiarów na Atlantyku. W chwili obecnej oko huraganu znajduje się około 134 km na południowy zachód od Kingston (Jamajka), zaledwie 35 km od najbliższego lądu i przesuwa się w kierunku północno wschodnim. NOAA prognozuje niewielkie odchylenie trajektorii cyklonu na północny wschód i przyspieszenie ruchu. Wg modeli NHC centrum Melissy przetoczy się nad południową Jamajką w dniu dzisiejszym, następnie huragan skieruje się ku wschodowi – przez wschodnią Kubę i południowe/centralne Bahamy. Po przejściu nad wyspą, huragan wciąż ma utrzymać się na poziomie kategorii 4-5, słabnąc dopiero po opuszczeniu lądów.
W chwili obecnej oko huraganu znajduje się około 134 km na południowy zachód od Kingston (Jamajka), zaledwie 35 km od najbliższego lądu i przesuwa się w kierunku północno wschodnim. NOAA prognozuje niewielkie odchylenie trajektorii cyklonu na północny wschód i przyspieszenie ruchu. Wg modeli NHC centrum Melissy przetoczy się nad południową Jamajką w dniu dzisiejszym, następnie huragan skieruje się ku wschodowi – przez wschodnią Kubę i południowe/centralne Bahamy. Po przejściu nad wyspą, huragan wciąż ma utrzymać się na poziomie kategorii 4-5, słabnąc dopiero po opuszczeniu lądów. Największymi zagrożeniami płynącym z przejścia huraganu są
 Największymi zagrożeniami płynącym z przejścia huraganu są– wiatr: podmuchy do około 350 km/h mogą spowodować niemal całkowite zniszczenia zabudowy i infrastruktury na południowym wybrzeżu Jamajki,
– opady deszczu: prognozowane są opady rzędu 380-760 mm na Jamajce, z lokalnymi sumami osiągającymi 1000 mm,
– fala sztormowa: na południowym wybrzeżu Jamajki przewiduje się podniesienie poziomu morza o 2,7-4m, która zalewać będzie nadbrzeżne tereny wyspy.
 Wydano szereg ostrzeżeń meteorologicznych:
 Wydano szereg ostrzeżeń meteorologicznych:– ostrzeżenie huraganowe obowiązujące dla całej Jamajki oraz Kubańskich prowincji Granma, Santiago de Cuba l, Guantánamo i Holguin, a także dla południowej i centralnej części Bahamów,
– ostrzeżenie przed sztormem tropikalnym, który dotyczy Haiti, północnej części Dominikany oraz Turks i Caicos.
Rząd Jamajki w niedzielę, ogłosił ewakuację mieszkańców najniżej położonych, południowych i zachodnich regionów wyspy, a wszystkie lotniska na Jamajce zostały zamknięte. Zostało otwartych ponad 800 schronów, które mają wspomóc mieszkańców wyspy.
Pozostałe obszary Karaibów (w tym Bermudy) są zachęcane do monitorowania sytuacji, choć huragan nie zmierza bezpośrednio w kierunku USA czy Europy.